🔸 La influencer respondió de manera contundente a Santa Fe Klan luego de que el cantante revelara que no le...
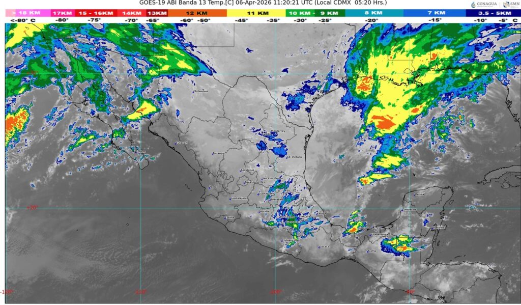
🔸Ocasionará lluvias con chubascos en el noreste y oriente, con lluvias puntuales fuertes en Nuevo León, San Luis Potosí y...
Aries♈ Aunque hoy te sientas raro, más nervioso que de costumbre aparentemente sin motivo alguno, en realidad estás perfectamente y...
🔸Propiciará lluvias fuertes en Nuevo León y Tamaulipas, así como chubascos en San Luis Potosí y Veracruz, y fuertes rachas...
Aries♈ Hoy has de recordar un punto muy importante y es que la confianza en ti mismo es esencial a...
🔸 Generará ambiente frío a gélido, fuertes rachas de viento, así como chubascos y lluvias fuertes a muy fuertes en...
Aries♈ Enfócate en tus relaciones familiares para fortalecer lazos y resolver malentendidos. En el ámbito laboral, aprovecha las oportunidades para...
🔸 Generará lluvias y fuertes rachas de viento en las entidades que afectará. #NACIONAL🇲🇽 II Buenos días ☀️ll El Servicio...
🔸El frente 21 propiciará un marcado descenso de las temperaturas en los estados del noroeste, norte, noreste, centro y oriente...
Aries♈ Hoy es un día para revisar tus metas y hacer ajustes necesarios. La claridad mental te permitirá tomar decisiones...