🔸Existirán condiciones propicias para la caída de nieve o aguanieve en las sierras de Baja California, Sonora y Chihuahua.
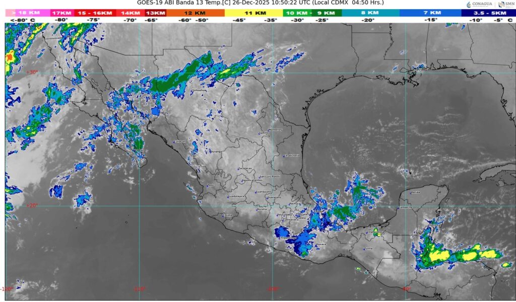
#NACIONAL🇲🇽 II Buenos días ☀️ ll El Servicio Meteorológico Nacional informa que un nuevo frente frío (número 24) ingresará a Baja California, en combinación con una vaguada en niveles medios y altos de la atmósfera, la corriente en chorro polar y un río atmosférico, generarán descenso de temperatura en el noroeste del territorio nacional, así como lluvias puntuales fuertes en Baja California; adicionalmente lluvias y chubascos en Baja California Sur, Sonora y Chihuahua.
Asimismo, existirán condiciones propicias para la caída de nieve o aguanieve en las sierras de Baja California, Sonora y Chihuahua.
Por otra parte, un canal de baja presión sobre el sureste mexicano y la península de Yucatán, en interacción con una vaguada en altura y con una circulación ciclónica en niveles medios de la atmósfera en el golfo de México, originarán lluvias fuertes a muy fuertes en Puebla, Veracruz, Oaxaca, Chiapas y Tabasco.
Simultáneamente, un canal de baja presión en el centro del país, aunado a inestabilidad atmosférica y al ingreso de humedad del océano Pacífico y golfo de México, ocasionarán lluvias y chubascos en dicha región; con lluvias puntuales fuertes en Guerrero.
Más historias
Toluca alista festejos gratuitos para el Día de las Madres
Buscatesoros de Durango falleció trágicamente mientras exploraba una vieja mina
Ricardo Monreal analiza periodo extraordinario para reformar Poder Judicial y aplazar comicios